Local Service Overview

Get Red Ant Extermination in Arlington, TX

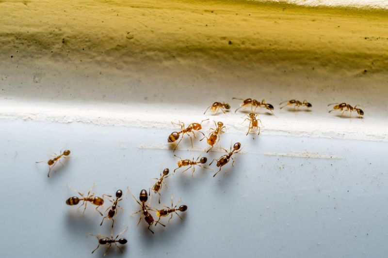
Red Ant Extermination services in Arlington, TX, and nearby areas address pest infestations such as ants, termites, roaches, and rodents for residential and commercial properties.

Arlington, TX

Red ant extermination services provide property owners in Arlington, TX with an effective solution to manage and eliminate troublesome ant infestations. These services help create a more comfortable living or working environment by reducing the presence of pests that can invade homes and outdoor spaces, making daily life more enjoyable and less stressful. Additionally, addressing ant problems promptly can prevent damage to structures, electrical wiring, and landscaping, supporting the long-term durability and functionality of a property.

Choosing professional extermination services offers benefits such as enhanced curb appeal by maintaining a clean and pest-free exterior. Property owners often seek these services to minimize ongoing maintenance needs associated with ant colonies and to preserve the safety and integrity of their surroundings. With expert assistance, homes and businesses can remain inviting, safe, and well-maintained, contributing to overall property value and peace of mind.

Get Red Ant Extermination Quotes

  • Red Ant Extermination services are essential when red ants invade residential or commercial properties in Arlington, TX and surrounding areas.
  • Red Ant Extermination might be needed if red ants are forming large colonies outdoors or nesting inside structures.
  • Red Ant Extermination is necessary when red ant activity causes damage to plants, lawns, or property foundations.
  • Red Ant Extermination services are sought after when red ants become a persistent nuisance disrupting daily activities.
  • Red Ant Extermination is recommended if red ants are found in food storage or kitchen areas, posing health concerns.

Get Red Ant Extermination Quotes

Red Ant Extermination
Red Ant Extermination
Red Ant Extermination

Red ant extermination services focus on identifying and eliminating red ant colonies that invade residential and commercial properties. These services typically involve thorough inspections to locate active nests and assess the extent of an infestation. Treatment methods may include the application of targeted insecticides, baiting systems, and barrier treatments to prevent further entry and eliminate existing colonies. The goal is to reduce or remove red ant populations, helping property owners regain control over their outdoor and indoor spaces.

Red ants can pose various problems for property owners, including damage to landscaping, electrical equipment, and structures due to their nesting habits. Their presence can also lead to increased nuisance and discomfort, especially during peak activity seasons. In some cases, red ants may bite or sting, causing irritation or allergic reactions in sensitive individuals. Extermination services are aimed at addressing these issues by effectively reducing ant activity and preventing future invasions.

Properties that commonly utilize red ant extermination services include residential homes, especially those with gardens or landscaped yards, as well as commercial properties like restaurants, warehouses, and office buildings. Properties with accessible outdoor spaces or those located in areas prone to ant activity often seek professional assistance to manage infestations. Additionally, properties with existing structural vulnerabilities or moisture issues may be more susceptible to red ant invasions, making professional treatment an important part of pest management.

Engaging with local pest control providers for red ant extermination can help ensure that the treatment methods are suitable for the specific property and infestation level. These professionals are equipped to implement integrated pest management strategies that target red ants effectively while minimizing disruption. By addressing infestations promptly, property owners can reduce the risk of ongoing problems and maintain a pest-free environment.

The overview below groups typical Red Ant Extermination projects into broad ranges so you can see how smaller, mid-sized, and larger jobs often compare in Arlington, TX.

In many markets, a large share of routine jobs stays in the lower and middle ranges, while only a smaller percentage of projects moves into the highest bands when the work is more complex or site conditions are harder than average.

Cost Range for Basic Pest Control - Red Ant Extermination services typically cost between $150 and $300 for initial treatments in Arlington, TX. The price varies based on the size of the property and severity of the infestation.

Pricing for Ongoing Treatments - Regular maintenance plans may range from $50 to $100 per visit, with costs depending on the frequency of service and property size.

Cost for Emergency or Spot Treatments - One-time emergency treatments generally fall between $100 and $250, depending on the extent of the ant problem and treatment complexity.

Factors Affecting Cost - The total cost can vary based on property size, level of infestation, and whether additional pest control services are needed, with typical prices reflecting these variables.

Actual totals will depend on details like access to the work area, the scope of the project, and the materials selected, so use these as general starting points rather than exact figures.

Get a Red Ant Extermination Quote

Ant Extermination - Local pest control providers offer specialized services to eliminate ant infestations and prevent future occurrences in residential and commercial properties.

Termite Control - Service providers in the area provide solutions to detect and treat termite activity, helping protect structures from damage.

Carpenter Ant Removal - Local experts focus on identifying and removing carpenter ants that can cause wood damage in homes and buildings.

Fire Ant Management - Pros offer targeted treatments to control fire ant colonies, reducing nuisance and potential bites in outdoor spaces.

Odorous House Ant Solutions - Local exterminators address infestations of odorous house ants, implementing effective removal methods.

Pharaoh Ant Treatments - Service providers use specialized techniques to control pharaoh ants, especially in sensitive environments like hospitals or food facilities.

Red Ant Extermination

When selecting a Red Ant Extermination service provider, it is important to consider the experience of local professionals. Homeowners should look for contractors who have a proven track record in pest control, specifically with ant extermination. Experienced providers are often familiar with the most effective treatment methods and common ant behaviors in the Arlington, TX area, which can contribute to more efficient and thorough service. Evaluating a contractor’s background can help ensure that the chosen professional has the practical knowledge needed to handle various ant infestations effectively.

Clear communication and well-defined written expectations are essential when working with pest control specialists. Reputable local pros typically provide detailed service descriptions, outlining what treatments will be performed, what results can be anticipated, and any necessary follow-up steps. This transparency helps homeowners understand the scope of work and avoid misunderstandings. Ensuring that the service provider communicates openly and provides comprehensive information can lead to a smoother experience and better outcomes.

Reputable references and strong community standing are valuable indicators of a reliable pest control provider. Homeowners are encouraged to seek out local professionals with positive feedback from previous clients or those who are well-regarded within the community. Reliable providers often have a history of satisfied customers and can offer references or testimonials upon request. Good communication, experience, and a solid reputation are key factors to consider when comparing local options for Red Ant Extermination services, helping homeowners make informed decisions about their pest management needs.

Get a Red Ant Extermination Quote

Property owners in Arlington, TX use Red Ant Extermination services for practical projects around their homes and businesses. The sections below highlight everyday jobs and straightforward project options.

Red Ant Extermination
Red Ant Extermination

Red ant extermination services are often sought by property owners in Arlington, TX, experiencing persistent ant activity around their homes or commercial properties. These small pests can invade kitchens, basements, and outdoor spaces, creating nuisances and potential health concerns. Local service providers can assist with identifying the extent of an ant problem, implementing targeted treatments, and providing advice on preventing future infestations.

Property owners may also look for red ant extermination when noticing increased activity during warmer months or after outdoor construction projects. Red ants tend to build nests in soil, wood, or beneath debris, which can lead to larger colonies that threaten the safety and comfort of a property. Connecting with experienced exterminators can help address these issues efficiently and reduce the likelihood of recurring problems.

Get a Red Ant Extermination Quote

How do I know if I have a red ant infestation? Signs of a red ant infestation include visible ants inside or outside the home, trails leading to nests, and small mounds of soil near foundations or gardens.

What methods do extermination services use to eliminate red ants? Local pest control providers typically use targeted insecticides, baiting systems, and sometimes physical removal to effectively eradicate red ants.

Are red ant treatments safe for pets and children? Most professional extermination services employ treatments designed to minimize risks, but it's recommended to follow specific safety instructions provided by the service provider.

How long does a red ant extermination treatment typically last? The duration of effectiveness varies depending on the treatment method and environment, with many services offering ongoing monitoring options.

Can red ants return after treatment? While treatments are designed to eliminate current colonies, red ants can return if new colonies are established nearby; regular inspections can help prevent re-infestation.

Red Ant Extermination Services - Local pest control providers offer specialized treatments to eliminate red ants effectively from residential and commercial properties.

Inspection and Identification - Professionals conduct thorough inspections to identify ant activity and determine the extent of the infestation.

Customized Treatment Plans - Service providers develop tailored solutions to target red ant colonies and prevent future invasions.

Follow-up and Prevention - Ongoing monitoring and preventative measures are available to maintain ant-free environments over time.

Red Ant Extermination

Considering Red Ant Extermination for a property in Arlington, TX? The sections above highlight common project types, practical options, and details that often shape the scope of work.

When you are ready, use the quote form to share a few details about your project. Local pros can review the basics and respond with options that match what you have in mind.

Get a Red Ant Extermination Quote

Red Ant Extermination Quotes

Our Trusted Partners
Cantu Pest Control
Orkin
Hawx Pest Control