Local Service Overview

Get Black Ant Extermination in Argyle, TX

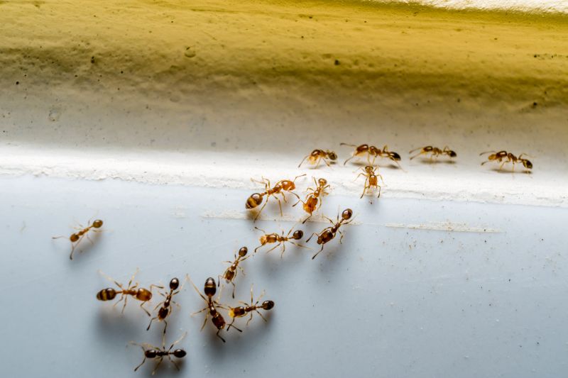
Black Ant Extermination services for property owners in Argyle, TX, typically address ant infestations, prevent future invasions, and treat residential or commercial buildings.

Argyle, TX

Black ant extermination services are a practical solution for property owners in Argyle, TX seeking to maintain a comfortable and safe living environment. Effective removal helps prevent unwanted ant invasions that can disrupt daily activities, damage property structures, and compromise hygiene. By addressing ant issues promptly, homeowners can enjoy a more functional outdoor and indoor space, free from the nuisance and potential health concerns associated with persistent ant populations.

Engaging professional exterminators offers numerous benefits, including enhanced durability of pest control efforts and reduced ongoing maintenance needs. Properly managed ant extermination can improve curb appeal by keeping landscapes and entry points clear of invasive pests, while also contributing to a more secure and inviting property. Local service providers can tailor solutions that align with individual property needs, promoting long-term comfort and peace of mind.

Get Black Ant Extermination Quotes

  • Black Ant Extermination - needed when black ants invade homes or commercial properties in Argyle, TX and surrounding areas.
  • Black Ant Extermination - required if black ant colonies are discovered in lawns, gardens, or outdoor structures nearby.
  • Black Ant Extermination - necessary when black ants become a persistent indoor nuisance in residential or business spaces.
  • Black Ant Extermination - sought after when black ant activity is observed around foundation walls, window frames, or entry points.
  • Black Ant Extermination - essential for preventing future infestations in properties affected by recurring black ant problems.

Get Black Ant Extermination Quotes

Black Ant Extermination
Black Ant Extermination
Black Ant Extermination

Black ant extermination services are designed to address infestations of black ants that can invade residential, commercial, and industrial properties. These services typically involve identifying the source of the ant problem, applying targeted treatments to eliminate existing colonies, and implementing strategies to prevent future invasions. Exterminators may use a combination of baiting, liquid insecticides, and dust formulations to effectively reduce ant populations and disrupt their nesting sites. The goal is to provide a comprehensive approach that not only removes the current infestation but also minimizes the likelihood of recurrence.

The issues associated with black ant infestations can include property damage, contamination of food supplies, and general nuisance. Black ants often seek out food and water sources inside buildings, leading to unsanitary conditions and potential health concerns. Their presence can also indicate underlying moisture problems or structural vulnerabilities that may require attention. Professional extermination services help manage these problems by targeting the colonies at their source and advising on measures to eliminate attractants, thereby reducing the chances of future invasions.

Properties that commonly utilize black ant extermination services include single-family homes, apartment complexes, restaurants, and retail establishments. Residential properties often seek treatment to protect food storage areas and maintain a clean living environment. Commercial properties, especially those involved in food handling or preparation, prioritize pest control to adhere to health regulations and ensure customer safety. Additionally, property managers and business owners in areas prone to ant activity may opt for regular inspections and preventative treatments to keep their premises ant-free.

Partnering with local pest control providers can help property owners and managers effectively manage black ant problems. These professionals are equipped with the knowledge and tools to assess the severity of an infestation and recommend appropriate treatment options. Whether dealing with a minor nuisance or a significant colony, connecting with experienced exterminators ensures that the property’s pest issues are addressed efficiently. Proper treatment and ongoing prevention strategies can help maintain a pest-free environment for homes and businesses alike.

The overview below groups typical Black Ant Extermination projects into broad ranges so you can see how smaller, mid-sized, and larger jobs often compare in Argyle, TX.

In many markets, a large share of routine jobs stays in the lower and middle ranges, while only a smaller percentage of projects moves into the highest bands when the work is more complex or site conditions are harder than average.

Initial Inspection - The cost for a black ant extermination inspection typically ranges from $50 to $150. This fee covers assessing the extent of the infestation and identifying entry points in homes around Argyle, TX. Prices may vary based on property size and complexity.

Per-Visit Treatment - A single treatment visit usually costs between $100 and $300. This includes applying targeted ant baits and insecticides to eliminate black ant colonies effectively. Additional visits may incur extra charges depending on the severity of the infestation.

Ongoing Maintenance - Ongoing ant control plans can range from $30 to $70 per month. These plans often include regular inspections and treatments to prevent future black ant invasions in residential or commercial properties nearby.

Large Property or Infestation - For extensive infestations or larger properties, costs can range from $400 to $800 or more. Service providers may recommend comprehensive treatments that address multiple colonies and entry points across the property.

Actual totals will depend on details like access to the work area, the scope of the project, and the materials selected, so use these as general starting points rather than exact figures.

Get a Black Ant Extermination Quote

Black Ant Extermination services are essential for eliminating infestations that can damage structures and create health concerns. Local pest control providers offer targeted treatments to remove black ants and prevent future invasions.

Residential Ant Control involves identifying black ant activity within homes and applying safe, effective methods to eradicate colonies and protect living spaces.

Commercial Ant Extermination services help businesses maintain a pest-free environment by addressing black ant issues that could affect operations and customer perceptions.

Outdoor Ant Management includes treatments around property perimeters to create a barrier against black ants and reduce the likelihood of indoor invasions.

Preventive Pest Control services focus on ongoing solutions to keep black ants from returning, ensuring long-term protection for homes and businesses.

Emergency Pest Removal options are available for urgent black ant infestations that require immediate attention to minimize damage and disruption.

Black Ant Extermination

When selecting a professional for black ant extermination, it is important to consider the experience and background of local service providers. Homeowners should look for pros who have a proven track record in managing ant infestations, with a history of successful treatments in residential settings similar to their own. Gathering information about their years in business and familiarity with local ant species can help ensure that the chosen provider is well-equipped to handle the specific challenges of black ant control in Argyle, TX and surrounding areas.

Clear communication and well-defined expectations are key when working with extermination specialists. Reputable local pros typically provide detailed information about their process, what homeowners can expect during and after treatment, and any necessary preparations. This transparency helps prevent misunderstandings and ensures that homeowners are fully informed about the scope of work, potential outcomes, and any follow-up requirements.

References and reputation are valuable indicators of a service provider’s reliability. Homeowners are encouraged to seek out local pros with positive references or reviews from previous clients. Verified testimonials or recommendations from neighbors or community members can offer insights into the quality of service, professionalism, and responsiveness. Establishing lines of open communication with prospective providers can also help determine their willingness to address questions and concerns throughout the process.

Get a Black Ant Extermination Quote

Property owners in Argyle, TX use Black Ant Extermination services for practical projects around their homes and businesses. The sections below highlight everyday jobs and straightforward project options.

Black Ant Extermination
Black Ant Extermination

Black ant extermination services are commonly sought by property owners in Argyle, TX when they notice persistent ant activity around their homes or businesses. Ant infestations can pose nuisance issues, especially when they invade kitchens, pantries, or outdoor living spaces. Property owners often look for professional assistance to effectively eliminate these pests and prevent future invasions, ensuring a cleaner and more comfortable environment.

In addition to visible ant trails, property owners may seek extermination services after discovering ant mounds or increased activity in their yards or gardens. These insects can sometimes be a sign of larger infestations that require targeted treatment. Local service providers can help address these concerns, offering solutions to manage and control ant populations around residential and commercial properties in Argyle, TX.

Get a Black Ant Extermination Quote

Why are black ants attracted to my home? Black ants are drawn to food sources, moisture, and easy entry points around the property, which can lead them indoors.

How can I prevent black ants from entering my house? Sealing cracks, removing food debris, and eliminating moisture sources can help reduce the likelihood of black ant invasions.

What methods do pest control professionals use to eliminate black ants? Local pest control providers typically use targeted baits, barriers, and environmentally safe insecticides to control black ant populations.

Are black ants harmful to my home or health? While black ants are generally not dangerous, they can contaminate food and may cause minor structural damage if they establish large colonies.

How often should I have black ant extermination services performed? The frequency of treatments depends on the severity of the infestation and local conditions; consulting a pest control professional can provide tailored recommendations.

Black Ant Extermination Techniques - Local service providers can implement effective methods to eliminate black ants and prevent future infestations.

Inspection and Identification - Professionals can assess property conditions to identify ant entry points and nesting areas for targeted treatment.

Preventive Treatments - Service providers may recommend ongoing treatments to keep black ants from returning to residential or commercial spaces.

Integrated Pest Management - Local experts often use a combination of strategies to control black ant populations while minimizing disruptions.

Black Ant Extermination

Considering Black Ant Extermination for a property in Argyle, TX? The sections above highlight common project types, practical options, and details that often shape the scope of work.

When you are ready, use the quote form to share a few details about your project. Local pros can review the basics and respond with options that match what you have in mind.

Get a Black Ant Extermination Quote

Black Ant Extermination Quotes

Our Trusted Partners
Cantu Pest Control
Orkin
Hawx Pest Control