Local Service Overview

Get Black Ant Extermination in Hurst, TX

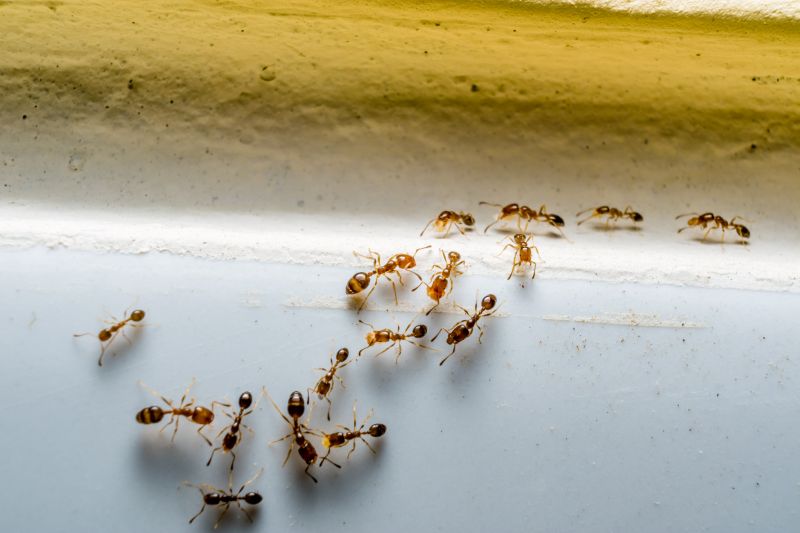
Black Ant Extermination services for property owners in Hurst, TX, typically address ant infestations, prevent future invasions, and treat residential and commercial buildings.

Hurst, TX

Black ant extermination services are a practical solution for property owners in Hurst, TX seeking to maintain a comfortable and safe living environment. These services help prevent ant infestations that can disrupt daily routines, damage property structures, and compromise hygiene. By effectively controlling ant populations, property owners can enjoy a more functional outdoor and indoor space, reducing the need for ongoing maintenance and repairs caused by ant activity.

Additionally, professional ant extermination contributes to enhancing curb appeal and ensuring long-term durability of the property. Eliminating ant colonies can prevent unsightly trails and damage to landscaping, helping properties look well-maintained and inviting. Engaging experienced service providers offers peace of mind, knowing that pest issues are addressed efficiently, supporting a safe and enjoyable environment for residents and visitors alike.

Get Black Ant Extermination Quotes

  • Ant Extermination - needed when ants invade kitchens, bathrooms, or outdoor spaces in residential or commercial properties.
  • Carpenter Ant Control - required if wood damage or swarm sightings occur inside homes or structures in nearby neighborhoods.
  • Fire Ant Removal - necessary for outdoor areas like lawns, playgrounds, or sports fields experiencing fire ant mounds.
  • Sugar Ant Elimination - appropriate when sweet food residues attract ants into living or storage areas.
  • Pharaoh Ant Treatment - essential in environments with persistent infestations in hospitals, hotels, or food service establishments in the region.

Get Black Ant Extermination Quotes

Black Ant Extermination
Black Ant Extermination
Black Ant Extermination

Black ant extermination services focus on identifying and eliminating black ant infestations within residential, commercial, and industrial properties. These services typically involve thorough inspections to locate ant colonies and entry points, followed by targeted treatments to eradicate existing nests. Depending on the severity of the infestation, exterminators may use various methods such as baiting, trapping, or applying residual insecticides to affected areas. The goal is to reduce or eliminate black ant populations, preventing further intrusion and damage.

Black ants can pose a variety of problems for property owners. While they are often considered a nuisance due to their presence indoors or around food sources, they can also cause structural issues by nesting in walls, foundations, or other hidden areas. Additionally, black ants can contaminate food supplies and create unsanitary conditions in kitchens or storage spaces. In some cases, their presence may be a sign of underlying moisture or structural problems that need addressing. Professional extermination helps mitigate these issues by controlling and removing the ant populations effectively.

The types of properties that commonly utilize black ant extermination services include single-family homes, apartment complexes, restaurants, and retail establishments. Residential properties often seek assistance to eliminate ants that have entered kitchens, bathrooms, or basements. Commercial properties, especially those involved in food service or storage, require regular pest management to maintain sanitation standards and prevent infestations. Additionally, property managers and business owners in areas with high ant activity may opt for ongoing pest control plans to keep their premises free of black ants and other pests.

Engaging with local pest control providers for black ant extermination offers tailored solutions suited to the specific needs of each property. These professionals assess the extent of the infestation, identify potential entry points, and recommend appropriate treatment strategies. By working with experienced local service providers, property owners can ensure targeted and effective pest management, helping to maintain a clean and pest-free environment.

The overview below groups typical Black Ant Extermination projects into broad ranges so you can see how smaller, mid-sized, and larger jobs often compare in Hurst, TX.

In many markets, a large share of routine jobs stays in the lower and middle ranges, while only a smaller percentage of projects moves into the highest bands when the work is more complex or site conditions are harder than average.

Initial Treatment Cost - The cost for a single black ant extermination service typically ranges from $150 to $300, depending on the extent of the infestation and property size. For example, a small home in Hurst, TX might be closer to $150, while larger properties could be around $300.

Ongoing Pest Control Plans - Monthly or quarterly pest control plans for black ant prevention generally cost between $40 and $70 per visit. These plans often include regular treatments to keep ants from returning, with costs varying based on service frequency and property size.

Per-Visit Fees - Some service providers charge per visit, which can range from $100 to $250 depending on the treatment area and severity of the ant problem. Single-visit treatments are common for targeted infestations in residential settings.

Additional Charges - Extra fees may apply for specialized treatments or for properties requiring extensive treatment, with costs potentially adding $50 to $200. These charges depend on factors such as inaccessible areas or additional pest management needs.

Actual totals will depend on details like access to the work area, the scope of the project, and the materials selected, so use these as general starting points rather than exact figures.

Get a Black Ant Extermination Quote

Black Ant Extermination services involve professionals who specialize in identifying and eliminating black ant infestations to protect residential and commercial properties.

Local pest control providers offer targeted treatments to remove black ant colonies and prevent future invasions.

Experts utilize various methods, including baiting and chemical treatments, to effectively control black ant populations.

Black ant extermination services are suitable for addressing infestations in homes, gardens, and business establishments.

Service providers assess the extent of black ant activity to determine the most appropriate removal approach.

Professionals may also offer advice on sanitation and structural repairs to reduce the likelihood of black ant reentry.

Black Ant Extermination

When selecting a professional for black ant extermination, it is important to consider their level of experience in handling ant infestations. Homeowners should look for service providers with a proven track record of successfully managing similar pest issues in the Hurst, TX area. Experienced pros are more likely to understand the behavior of black ants and employ effective strategies tailored to local conditions, which can contribute to more reliable results.

Clear communication and well-defined written expectations are essential when working with pest control providers. Reputable service providers typically offer detailed explanations of their treatment methods, what homeowners can expect during and after the service, and any necessary follow-up actions. Having these expectations documented can help ensure that homeowners are informed and prepared for the process, reducing potential misunderstandings.

Reputable references and a history of positive feedback can assist homeowners in making informed decisions. Local pest control companies with established reputations often provide references or testimonials from previous clients in the Hurst area. This feedback can offer insights into the provider’s professionalism, reliability, and effectiveness. Additionally, transparent communication about the scope of work and responsiveness can further indicate a service provider’s commitment to quality and customer satisfaction.

Get a Black Ant Extermination Quote

Property owners in Hurst, TX use Black Ant Extermination services for practical projects around their homes and businesses. The sections below highlight everyday jobs and straightforward project options.

Black Ant Extermination
Black Ant Extermination

Black ant extermination services are often sought by property owners in Hurst, TX when they notice persistent ant activity around their homes or businesses. These insects can invade kitchens, pantry areas, and other parts of a property, creating nuisances and potential health concerns. Local service providers can help identify the source of the infestation and implement targeted treatments to eliminate black ants effectively.

Additionally, property owners may look for black ant extermination when they want to prevent future invasions or address recurring issues. Ant colonies can be difficult to control without professional assistance, especially in areas with easy access to food and water sources. Local pest control specialists can provide tailored solutions to keep properties in Hurst, TX free from black ant problems.

Get a Black Ant Extermination Quote

What are common signs of a black ant infestation? Signs include visible black ants indoors, trails leading to entry points, and small piles of dirt or debris near walls or foundations.

How do pest control professionals typically eliminate black ants? They use targeted treatments such as baits, sprays, and barrier methods to eliminate existing colonies and prevent future invasions.

Are black ants dangerous or harmful? Black ants are generally not harmful to humans but can be a nuisance and may contaminate food sources if they invade homes.

How long does black ant extermination usually take? The duration varies depending on the severity of the infestation, but professionals aim to effectively reduce or eliminate the problem in a timely manner.

What can homeowners do to prevent black ant infestations? Keeping areas clean, sealing entry points, and removing food or water sources can help reduce the likelihood of black ant problems.

Black Ant Extermination Solutions - Local pest control providers offer targeted treatments to eliminate black ants and prevent future infestations.

Inspection and Identification - Professionals can assess property conditions to identify ant entry points and nesting sites for effective removal.

Preventative Barrier Treatments - Service providers apply barriers around structures to deter black ants from entering and nesting nearby.

Ongoing Monitoring and Maintenance - Experts can establish ongoing pest management plans to control black ant populations over time.

Black Ant Extermination

Considering Black Ant Extermination for a property in Hurst, TX? The sections above highlight common project types, practical options, and details that often shape the scope of work.

When you are ready, use the quote form to share a few details about your project. Local pros can review the basics and respond with options that match what you have in mind.

Get a Black Ant Extermination Quote

Black Ant Extermination Quotes

Our Trusted Partners
Cantu Pest Control
Orkin
Hawx Pest Control