Local Service Overview

Get Ants Extermination Service in Coppell, TX

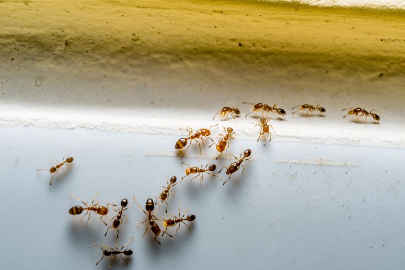
Ants extermination services for property owners in Coppell, TX, and nearby areas address ant infestations, prevent future invasions, and manage ant-related problems in residential and commercial properties.

Coppell, TX

Ants extermination services provide property owners in Coppell, TX with effective solutions to manage and eliminate ant infestations. Addressing these pests helps maintain a clean and comfortable living or working environment, reducing the risk of damage to structures and stored goods. Proper pest control enhances the overall safety and functionality of the property, allowing residents and business owners to enjoy their spaces without concern about ant-related issues.

Choosing professional ant extermination also offers benefits related to durability and reduced maintenance. By effectively controlling ant populations, property owners can prevent future infestations, preserving the property's curb appeal and minimizing ongoing pest management efforts. This proactive approach supports long-term property value and ensures a more inviting, pest-free environment.

Get Ants Extermination Service Quotes

  • Ant Infestation Removal - needed when ants invade homes or businesses in Coppell, TX and surrounding areas.
  • Carpenter Ant Control - required when wood structures are damaged by ant activity in nearby neighborhoods.
  • Fire Ant Treatment - necessary for outdoor areas experiencing large mounds or aggressive fire ant populations.
  • Sugar Ant Extermination - sought when sweet food sources attract ants into kitchens and pantry spaces.
  • Pharaoh Ant Management - essential in healthcare or food service environments with persistent ant presence.

Get Ants Extermination Service Quotes

Ants Extermination Service
Ants Extermination Service
Ants Extermination Service

Ants extermination services involve identifying and eliminating ant infestations within residential, commercial, or industrial properties. These services typically include thorough inspections to determine the extent of the ant problem, followed by targeted treatment methods to remove existing colonies. Service providers may employ various techniques such as baiting, trapping, or applying insecticides to affected areas, ensuring that the infestation is effectively controlled. The goal is to reduce ant activity and prevent future invasions, creating a more comfortable and pest-free environment.

The primary problems addressed by ants extermination services are the nuisances and potential damages caused by ant colonies. Ants can contaminate food supplies, invade kitchens and pantries, and create unsanitary living conditions. Certain species, like carpenter ants, can also cause structural damage by hollowing out wood in walls or furniture. Extermination services help mitigate these issues by eradicating colonies and preventing further spread, ultimately reducing health risks and property damage associated with ant infestations.

Various types of properties utilize ants extermination services, including single-family homes, apartment complexes, restaurants, and retail stores. Residential properties often require assistance with common household invasions, especially in kitchens or basements. Commercial establishments, such as food service businesses, seek pest control to maintain hygiene standards and comply with health regulations. Additionally, warehouses and storage facilities may need extermination services to protect inventory from pest-related damage and contamination.

Professional ant extermination services are essential for addressing persistent or large-scale infestations that are difficult to manage with DIY methods. Local pest control providers offer tailored solutions suited to the specific needs of different property types and infestation levels. Contacting experienced service providers can help property owners and managers develop effective pest management strategies, ensuring that ant problems are resolved efficiently and thoroughly.

The overview below groups typical Ants Extermination Service projects into broad ranges so you can see how smaller, mid-sized, and larger jobs often compare in Coppell, TX.

In many markets, a large share of routine jobs stays in the lower and middle ranges, while only a smaller percentage of projects moves into the highest bands when the work is more complex or site conditions are harder than average.

Per-Visit Cost - Ant extermination services typically range from $100 to $300 per visit, depending on the severity of the infestation and property size. For example, a small home in Coppell might cost around $150 for a single treatment.

Initial Treatment Cost - The first treatment for ant control generally falls between $200 and $500, covering comprehensive pest elimination. Larger properties or severe cases could push costs toward the higher end of this range.

Ongoing Maintenance - Follow-up treatments or ongoing maintenance may cost between $50 and $150 per session. Regular service plans help prevent future ant problems and typically involve quarterly visits.

Service Package Prices - Complete ant extermination packages often range from $300 to $800, including initial treatment and scheduled follow-ups. These packages are designed for long-term control and prevention in residential areas.

Actual totals will depend on details like access to the work area, the scope of the project, and the materials selected, so use these as general starting points rather than exact figures.

Get an Ants Extermination Service Quote

Ants Extermination - Local service providers offer targeted solutions to eliminate ant infestations and prevent future invasions in residential and commercial properties.

Ant Control for Homes - Pros specializing in home ant extermination address common entry points and nesting areas to restore comfort and safety.

Commercial Ant Removal - Businesses can connect with experts experienced in managing ant issues in office buildings, restaurants, and warehouses.

Eco-Friendly Ant Treatments - Some providers utilize environmentally conscious methods to control ant populations while minimizing chemical use.

Ant Barrier Services - Local pros install barriers and treatment zones to create effective defenses against ant entry and re-infestation.

Ant Infestation Inspection - Professionals conduct thorough inspections to identify the source of ant problems and recommend appropriate treatment options.

Ants Extermination Service

When selecting a professional for ant extermination services, it’s important to consider their experience in handling ant infestations within your local area. Experienced service providers typically understand the specific types of ants common to regions like Coppell, TX, and nearby communities, which can contribute to more effective treatment strategies. Reviewing the background of local pros can help ensure they have a history of successfully managing similar issues, providing confidence in their ability to address your needs.

Clear communication and well-defined expectations are essential when working with local ant extermination specialists. Reputable service providers often outline their process, the methods they use, and what homeowners can expect during and after treatment. This transparency can help homeowners make informed decisions and feel more comfortable throughout the process, knowing what to anticipate and how the service provider plans to handle the infestation.

Reputable references and positive feedback from previous clients are valuable indicators of a local pros’ reliability and professionalism. When exploring options, it’s beneficial to seek out service providers with established reputations in the community and verifiable references. Good communication from the contractor’s side, including prompt responses and willingness to answer questions, can also contribute to a smoother experience. These factors collectively help homeowners find trusted local pros capable of delivering quality ant extermination services.

Get an Ants Extermination Service Quote

Property owners in Coppell, TX use Ants Extermination Service services for practical projects around their homes and businesses. The sections below highlight everyday jobs and straightforward project options.

Ants Extermination Service
Ants Extermination Service

Ants extermination services are commonly sought after by property owners in Coppell, TX, who notice ant activity around their homes or businesses. Common situations include discovering trails of ants in kitchens, bathrooms, or other indoor areas, which can indicate an infestation. Property owners may also seek professional assistance when ants invade outdoor spaces, such as gardens or patios, especially during warmer months when ant activity tends to increase.

In addition to visible ant problems, property owners might look for extermination services to prevent future issues. Ants can sometimes be a sign of underlying pest management concerns or potential entry points into a property. Engaging local extermination professionals can help address these issues effectively, ensuring that ant populations are controlled and prevented from becoming a recurring nuisance.

Get an Ants Extermination Service Quote

How do ant extermination services work? Ant extermination services typically involve inspecting the property to identify ant trails and nests, then applying targeted treatments to eliminate colonies and prevent future infestations.

Are the treatments safe for pets and children? Many local pros use treatments that are safe for pets and children when applied according to safety guidelines; it is recommended to discuss concerns with the service provider before treatment.

How long does an ant extermination treatment last? The duration of effectiveness varies depending on the treatment method and the extent of the infestation, with some treatments providing ongoing protection for several months.

Can ant extermination services prevent future invasions? Yes, professional services often include recommendations and treatments designed to reduce the likelihood of future ant invasions around the property.

How should I prepare my home before an ant extermination service? It is usually advised to keep food stored securely, remove clutter near entry points, and follow any specific preparation instructions provided by the service provider.

Ants Identification and Prevention - Local pest control providers can assess ant activity and recommend effective prevention strategies to reduce future infestations.

Professional Ant Extermination - Experienced service providers utilize targeted treatments to eliminate ant colonies and control ongoing problems.

Ongoing Pest Management Plans - Many pros offer maintenance plans to monitor and prevent ant re-infestation over time.

Customized Treatment Solutions - Service providers can develop tailored approaches based on the specific ant species and infestation severity.

Ants Extermination Service

Considering Ants Extermination Service for a property in Coppell, TX? The sections above highlight common project types, practical options, and details that often shape the scope of work.

When you are ready, use the quote form to share a few details about your project. Local pros can review the basics and respond with options that match what you have in mind.

Get an Ants Extermination Service Quote

Ants Extermination Quotes

Our Trusted Partners
Cantu Pest Control
Orkin
Hawx Pest Control