Local Service Overview

Get Ants Extermination Service in Grapevine, TX

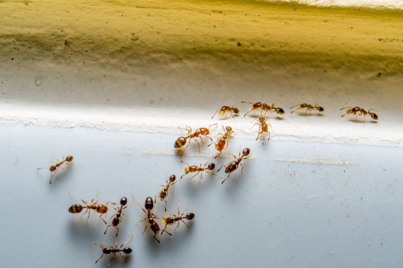
Ants extermination services for property owners in Grapevine, TX, and nearby areas address ant infestations, prevent future invasions, and handle residential and commercial pest control projects.

Grapevine, TX

Ants extermination services in Grapevine, TX, address common property concerns by effectively reducing pest populations that can compromise comfort and safety. Property owners often seek professional assistance to eliminate ant infestations that may otherwise lead to structural damage, contaminate food supplies, or create an uncomfortable living environment. By partnering with experienced local service providers, residents can enjoy a pest-free space that enhances the overall functionality and durability of their property.

Engaging professional ant extermination also offers benefits related to curb appeal and ongoing maintenance. A well-maintained property free of visible pests contributes to a positive first impression and preserves the aesthetic value of outdoor and indoor spaces. Additionally, regular pest control helps reduce the need for future interventions, supporting long-term property durability and minimizing disruptions caused by recurring ant problems.

Get Ants Extermination Service Quotes

  • Ants Extermination - needed when ants invade homes or commercial properties in Grapevine, TX and surrounding areas.
  • Ants Extermination - recommended if ants are seen in kitchens, pantries, or other indoor spaces.
  • Ants Extermination - necessary when ant colonies are found outdoors near foundations or landscaping.
  • Ants Extermination - sought after for preventing ant infestations in new construction or renovation projects.
  • Ants Extermination - advised when recurring ant problems persist despite previous treatment efforts.

Get Ants Extermination Service Quotes

Ants Extermination Service
Ants Extermination Service
Ants Extermination Service

Ants extermination services involve the identification and elimination of ant colonies within residential, commercial, or industrial properties. Trained service providers typically conduct thorough inspections to determine the extent of the infestation and locate nests, whether they are indoors or outdoors. Treatment methods may include the application of targeted insecticides, baiting systems, or other pest control techniques designed to eradicate ants at their source. The goal is to reduce or eliminate ant populations to prevent further intrusion and damage.

These services help address common problems associated with ant infestations, such as property damage, contamination of food supplies, and general nuisance. Certain species, like carpenter ants, can cause structural harm by burrowing into wood, while others, such as fire ants, pose health risks through painful stings. Effective ant extermination can also prevent recurring problems by identifying and sealing entry points, reducing the likelihood of future invasions.

Ants extermination services are utilized in a variety of property types, including single-family homes, apartment complexes, restaurants, and commercial warehouses. Residential properties often seek these services to protect food storage areas and maintain a clean living environment. Commercial establishments, especially food service providers and retail stores, rely on professional pest control to uphold hygiene standards and ensure compliance with health regulations. Additionally, property managers and landlords frequently engage exterminators to manage ant issues across multiple units or buildings.

Engaging with local pest control providers can help property owners and managers effectively manage ant problems before they escalate. These professionals typically employ tailored treatment plans based on the specific type of ant and the severity of the infestation. Contacting a local service provider ensures access to experienced specialists capable of implementing effective solutions that address the unique needs of each property.

The overview below groups typical Ants Extermination Service projects into broad ranges so you can see how smaller, mid-sized, and larger jobs often compare in Grapevine, TX.

In many markets, a large share of routine jobs stays in the lower and middle ranges, while only a smaller percentage of projects moves into the highest bands when the work is more complex or site conditions are harder than average.

Initial Inspection - The cost for an initial ant inspection typically ranges from $50 to $150, depending on property size and complexity. This fee often covers a thorough assessment to identify ant activity and entry points.

Basic Treatment - A standard ant extermination treatment usually costs between $100 and $300. The price varies based on the extent of the infestation and the treatment method used.

Perimeter Barrier Application - Applying a perimeter barrier can range from $150 to $400. This service involves treating the exterior of a property to prevent ant entry and may be recommended for ongoing control.

Follow-up Services - Follow-up visits for ant control generally cost between $75 and $200 each. These visits ensure the effectiveness of the treatment and address any recurring ant activity.

Actual totals will depend on details like access to the work area, the scope of the project, and the materials selected, so use these as general starting points rather than exact figures.

Get an Ants Extermination Service Quote

Ants Extermination services involve local professionals who specialize in identifying ant infestations and implementing targeted removal strategies to eliminate colonies effectively.

Expert ant control providers utilize various treatment methods to address different types of ant species common in areas like Grapevine, TX.

These services often include inspection, treatment application, and prevention advice to help maintain a pest-free environment.

Local ant extermination specialists are equipped to handle both residential and commercial properties with tailored solutions.

Professionals in this field focus on safely and efficiently reducing ant populations to prevent future invasions.

Contacting local ant extermination providers can help identify the most appropriate approach for specific ant issues in the area.

Ants Extermination Service

When comparing ant extermination services in Grapevine, TX and surrounding areas, it’s important to consider the experience of local service providers. Established pros often have a history of handling various ant infestations, which can translate to more effective and efficient treatments. Homeowners can benefit from reviewing the background of each provider to understand their familiarity with local ant species and common infestation patterns, helping to ensure the selected professional has the practical knowledge needed for successful results.

Clear communication and written expectations are essential when selecting an ant extermination service. Reputable providers typically outline their treatment methods, what homeowners can expect during and after service, and any necessary preparations. Having these details in writing helps establish transparency and ensures that both parties are aligned on the scope of work. Homeowners should look for service providers who are willing to provide comprehensive information and answer questions thoroughly, fostering a clear understanding of the process.

Reputable references and reliable feedback from previous clients can serve as valuable indicators of a local pro’s dependability and quality of service. While the site introduces various options, it’s recommended that homeowners seek out reviews or testimonials from past customers to gauge satisfaction levels. Additionally, effective communication, including prompt responses and willingness to address concerns, can contribute to a smoother service experience. Connecting with local pros who prioritize clear dialogue and have positive references can help homeowners feel more confident in their choice of ant extermination provider.

Get an Ants Extermination Service Quote

Property owners in Grapevine, TX use Ants Extermination Service services for practical projects around their homes and businesses. The sections below highlight everyday jobs and straightforward project options.

Ants Extermination Service
Ants Extermination Service

Ants extermination services are commonly sought by property owners in Grapevine, TX, who notice persistent ant activity around their homes or businesses. Common situations include spotting trails of ants in kitchens, bathrooms, or outdoor areas, especially during warmer months when ants become more active. Property owners may also seek professional help when ant colonies have become large or difficult to manage with DIY methods, or when ants are invading food storage areas or other indoor spaces.

Many residents and business owners look for ant extermination services to address ongoing infestations that threaten comfort and hygiene. Unwanted ant presence can be a sign of underlying issues such as moisture problems or access points that need sealing. Engaging local service providers can help identify the source of the problem and implement effective solutions to prevent future invasions, ensuring a pest-free environment.

Get an Ants Extermination Service Quote

How do ant extermination services work? Ant extermination services typically involve inspecting the property to identify ant activity and entry points, followed by applying targeted treatments to eliminate colonies and prevent future infestations.

Are the treatments safe for pets and children? Many local ant extermination professionals use treatments that are safe when applied according to instructions; it is best to discuss safety concerns with the service provider during contact.

How long does an ant extermination treatment last? The duration of effectiveness varies depending on the treatment method and extent of the infestation, so consulting with a local pro can provide more specific information.

Can I prevent future ant problems? Yes, pest control experts can recommend ongoing prevention strategies, such as sealing entry points and removing attractants around the property.

What types of ants can be treated? Local extermination services can address common ant species, including pavement ants, odorous house ants, and carpenter ants, among others.

Ants Identification and Inspection - Local pest control providers can assess the extent of ant infestations to determine the most effective treatment options.

Targeted Ant Extermination - Professionals use specialized techniques and products to eliminate ants and prevent future invasions.

Preventive Ant Control Measures - Service providers can implement barriers and treatment plans to reduce the likelihood of ant re-entry.

Ongoing Ant Management Plans - Customized maintenance programs are available to monitor and control ant populations over time.

Ants Extermination Service

Considering Ants Extermination Service for a property in Grapevine, TX? The sections above highlight common project types, practical options, and details that often shape the scope of work.

When you are ready, use the quote form to share a few details about your project. Local pros can review the basics and respond with options that match what you have in mind.

Get an Ants Extermination Service Quote

Ants Extermination Quotes

Our Trusted Partners
Cantu Pest Control
Orkin
Hawx Pest Control