Local Service Overview

Get Ants Extermination Service in The Colony, TX

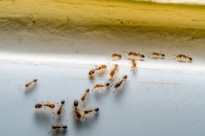
Ants extermination services for property owners in The Colony, TX, and nearby areas address ant infestations, prevent future invasions, and handle residential and commercial pest control projects.

The Colony, TX

Ants extermination services provide property owners in The Colony, TX with effective solutions to manage and eliminate ant infestations. These services help maintain a comfortable living and working environment by preventing the nuisance and potential damage caused by ants. Proper extermination can enhance the safety of a property by reducing the risk of ant-related contamination or structural harm, ensuring that homes and businesses remain functional and secure.

Engaging professional ant control can also improve curb appeal by addressing visible signs of an infestation and preventing future issues. Additionally, these services contribute to the durability of a property by minimizing the likelihood of ant-related damage over time. Reduced maintenance needs and a more inviting appearance are common benefits sought by property owners seeking reliable ant extermination solutions in The Colony, TX.

Get Ants Extermination Service Quotes

  • Ants Extermination - needed when ants invade homes or commercial properties in the area.
  • Ants Extermination - required for severe infestations that threaten household comfort or food safety.
  • Ants Extermination - appropriate when ants are found nesting in lawns, gardens, or outdoor structures.
  • Ants Extermination - necessary for ongoing ant problems that persist despite basic treatments.
  • Ants Extermination - advised when new ant colonies are detected near residential or business premises.

Get Ants Extermination Service Quotes

Ants Extermination Service
Ants Extermination Service
Ants Extermination Service

Ants extermination services involve identifying and eliminating ant infestations within residential, commercial, and industrial properties. These services typically include thorough inspections to locate the source of ant activity, followed by targeted treatments designed to eradicate colonies and prevent future invasions. Many service providers utilize a combination of baiting, trapping, and residual insecticides to address the problem effectively. The goal is to remove existing ants and establish barriers that discourage re-entry, helping property owners maintain a pest-free environment.

Ant infestations can cause various issues, including property damage, contamination of food supplies, and general nuisance. Certain species, such as carpenter ants, are known to damage wood structures, which can lead to costly repairs if not addressed promptly. Additionally, ants can be vectors for bacteria, contaminating surfaces and food items, which poses health concerns. Extermination services help mitigate these problems by reducing ant populations and implementing ongoing prevention strategies, thereby safeguarding the integrity of the property and the well-being of its occupants.

Properties that commonly utilize ant extermination services include single-family homes, apartment complexes, restaurants, and retail stores. Residential properties often seek treatment to protect kitchens, pantries, and outdoor living spaces from ant invasions. Commercial establishments, especially those involved in food handling or storage, prioritize pest control to comply with health regulations and maintain hygiene standards. Additionally, property managers and business owners in areas prone to ant activity often rely on local pest control providers to manage infestations proactively and ensure a pest-free environment.

Professional ant extermination services are essential for effectively managing persistent or severe infestations. Local service providers offer tailored solutions suited to the specific needs of different property types and ant species. By addressing ant problems promptly, property owners can prevent structural damage, protect food supplies, and maintain a clean, comfortable environment. Contacting experienced pest control professionals can provide the expertise needed to develop an effective plan for controlling and preventing future ant invasions.

The overview below groups typical Ants Extermination Service projects into broad ranges so you can see how smaller, mid-sized, and larger jobs often compare in The Colony, TX.

In many markets, a large share of routine jobs stays in the lower and middle ranges, while only a smaller percentage of projects moves into the highest bands when the work is more complex or site conditions are harder than average.

Initial Inspection - The cost for an ant inspection typically ranges from $50 to $150, depending on property size and complexity. This fee often covers a thorough assessment to identify ant activity and entry points.

One-Time Treatment - A single ant extermination service usually costs between $100 and $300. Larger properties or severe infestations may increase the price slightly above this range.

Follow-Up Services - Follow-up treatments generally cost around $75 to $200 per visit to ensure ant activity is fully eliminated. The number of visits needed depends on the severity of the infestation.

Integrated Pest Management - Integrated approaches combining multiple methods may range from $200 to $500 for comprehensive control. Costs vary based on the extent of the ant problem and property size.

Actual totals will depend on details like access to the work area, the scope of the project, and the materials selected, so use these as general starting points rather than exact figures.

Get an Ants Extermination Service Quote

Ants Extermination - Local pest control providers offer targeted solutions to eliminate ant infestations in residential and commercial properties in The Colony, TX and nearby areas.

Ants Control for Homes - Professionals provide treatments designed to remove ants from indoor living spaces and prevent future invasions.

Commercial Ants Removal - Service providers assist businesses in managing ant problems to maintain a pest-free environment for employees and customers.

Outdoor Ants Treatment - Experts apply treatments to yards and exterior areas to reduce ant colonies and protect outdoor spaces.

Ants Inspection Services - Local pros conduct thorough inspections to identify ant activity and determine the most effective extermination approach.

Ants Prevention Solutions - Service providers recommend and implement measures to prevent future ant infestations around properties.

Ants Extermination Service

When selecting a professional for ant extermination services, experience is a key factor to consider. Many local providers have established track records in managing ant infestations within communities like The Colony, TX, and surrounding areas. Reviewing the length of time a company has been operating and their familiarity with common ant species can provide insight into their expertise. It’s also beneficial to explore any written expectations they provide, such as service procedures, follow-up protocols, and guarantees, to ensure clarity about what the service entails.

Reputable references and customer feedback can help gauge the reliability and quality of a local pest control provider. While direct reviews may not always be available on a lead-generation platform, many service providers can furnish references or testimonials upon request. These references can offer perspectives on previous work, responsiveness, and overall satisfaction. Verifying a provider’s reputation through local directories or community recommendations can further assist in making an informed decision.

Effective communication is essential when working with a pest control professional. Clear, prompt, and transparent interactions help establish trust and ensure that expectations are aligned. Pros who are willing to answer questions thoroughly and provide detailed information about their methods tend to foster a more positive experience. Since this platform introduces local options rather than performs the work, it’s important to contact the selected service provider directly to discuss specific needs, service plans, and any concerns before proceeding with treatment.

Get an Ants Extermination Service Quote

Property owners in The Colony, TX use Ants Extermination Service services for practical projects around their homes and businesses. The sections below highlight everyday jobs and straightforward project options.

Ants Extermination Service
Ants Extermination Service

Ants extermination services are often sought by property owners in The Colony, TX, dealing with common ant infestations that can appear around kitchens, bathrooms, or outdoor areas. These professionals are equipped to identify the source of ant activity and implement targeted treatments to eliminate colonies, helping to restore comfort and prevent further intrusion. Whether ants are invading living spaces or nesting nearby, local service providers can assist with effective solutions tailored to the specific needs of each property.

Property owners may also seek ant extermination services to address recurring issues or prevent future problems, especially during warmer months when ant activity tends to increase. Routine inspections and treatments from local experts can help maintain a pest-free environment and protect the property from potential damage or hygiene concerns. Engaging experienced professionals ensures that ant problems are managed efficiently, supporting the overall upkeep of homes and commercial buildings in the area.

Get an Ants Extermination Service Quote

How do ant extermination services work? Ant extermination services typically involve inspecting the property, identifying ant species and entry points, and applying targeted treatments to eliminate colonies and prevent future infestations.

Are ant extermination treatments safe for pets and children? Most professional ant treatments are designed to be safe when applied by experienced technicians, but it's recommended to follow any specific safety instructions provided by the service provider.

How long does an ant extermination treatment last? The duration of effectiveness varies depending on the treatment method and the severity of the infestation; a local service provider can advise on maintenance or follow-up treatments.

Can ant extermination services prevent future ant problems? Yes, professional treatments often include recommendations and barriers to help prevent future ant invasions in the treated areas.

How can I prepare my home for ant extermination? Preparation may involve clearing clutter, sealing food items, and locating ant trails to assist technicians in effectively treating the affected areas.

Ants Control Solutions - Local pest control providers offer targeted treatments to eliminate ant colonies and prevent future infestations.

Inspection and Identification - Professionals can identify ant species and assess entry points to develop effective extermination strategies.

Barrier Treatments - Service providers may apply barriers around structures to deter ants from entering indoor and outdoor spaces.

Ongoing Monitoring and Prevention - Experts can recommend maintenance practices and follow-up services to keep ant populations under control.

Ants Extermination Service

Considering Ants Extermination Service for a property in The Colony, TX? The sections above highlight common project types, practical options, and details that often shape the scope of work.

When you are ready, use the quote form to share a few details about your project. Local pros can review the basics and respond with options that match what you have in mind.

Get an Ants Extermination Service Quote

Ants Extermination Quotes

Our Trusted Partners
Cantu Pest Control
Orkin
Hawx Pest Control